Tbd Vzcr 2120, Canton, TX 75103

$1,071,000
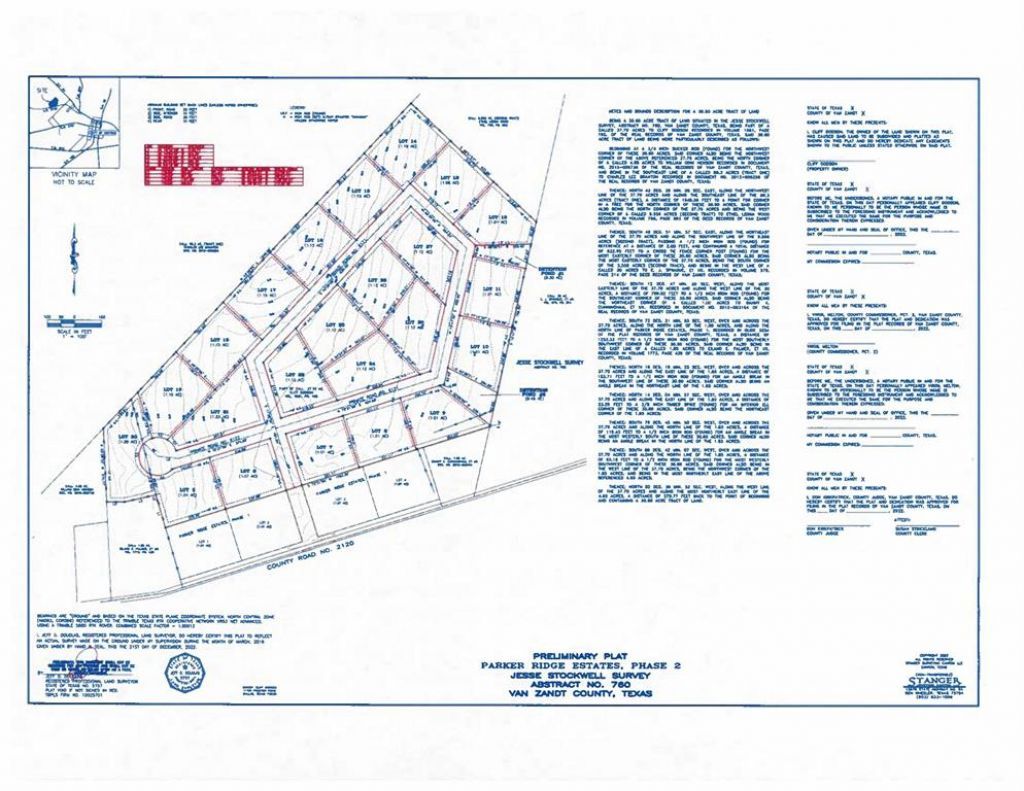
  • Tbd Vzcr 2120, Canton, TX 75103 Main Photo

1 Total Photos [Click to View All]

New to the Market Active
LOT SIZE 30.600 acres MLS#21238530
STATUSActive PROPERTY TYPELand - Commercial SUBDIVISIONConversion Rural SCHOOLCanton ISD

Property Description

DEVELOPERS here is you opportunity to build in the highly sought after Canton Texas As the county is growing rapidly this land is ready for 1+ Acre lots just out of the city this approved for development the seller has done all the initial work with city and county so it is just awaiting a bold buyer. 30.6 acres, 23 plus or minus one acre lots, less than 1.5 miles to Canton courthouse, deed restrictions filed, civil engineering prepared. supporting documentation are available for more information contact listing agents Note Plat is also attached with this listing

Tbd Vzcr 2120 | MLS# 21238530

This land located at Tbd Vzcr 2120, Canton, TX 75103 is currently listed for sale with an asking price of $1,071,000. The property has approximately 30.60 Acres. Tbd Vzcr 2120 is located within the Canton ISD school district. Search Canton real estate on kellybrooks.kellyrealtors.com today.

Property Features

Property Type: Land - Commercial
Lot Size: 30.60 Acres

Feature Descriptions

Days on Site: 5
Lot: Acreage, Level, Other, Subdivision
Parcel#: R000115596
Topography: Mostly Level
Utilities: See Remarks

Local Schools

Elementary School: Canton
School District: Canton ISD

Listed By / Shown By

Listed By

Agency Name: CENTURY 21 Judge Fite Co.
Agency Contact: 972-938-3636
Agent Name: Janice Dodson

agent picture

Shown By

Agent Name: Kelly Brooks
Agent Phone: (254) 651-9267
Agency Title: Kelly, Realtors

IDX logo

Estimate Your Payment

Estimated Payment

$ 2,695.96 per month $2,383.58 Principal & Interest $0.00 Property Tax (data not provided by mls) $312.38 Homeowner's Insurance

Change Payment Information

%
years/fixed
yearly
yearly (est.)
(Payments are an estimate and may vary by lender)

Login to My Homefinder

Pixel